Skip To Content

Urb. Reparto León Bo. Quebrada Cruz

TOA ALTA, PR 00953
  • $29,995
  • STATUS: Active
  • ON SITE: 295 Days
  • MLS #: PR9110992
UPDATED: 63 min ago
$29,995
  • 0
    BEDS
  • 0.21
    ACRES
  • 0
    BATHS
  • 0
    1/2 BATHS
Neighborhood:
Type:
Vacant Land / Lots
County:
Area:

School Ratings & Info

Description

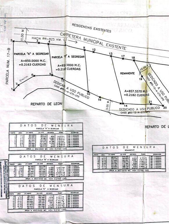
One or more photo(s) has been virtually staged. Located in Reparto Len, Barrio Quebrada Cruz, Toa Alta, Puerto Rico 00953, this listing features three legally subdivided residential lotsLot A (850 m), Lot B (850 m), and Lot D (857 m)each priced at $29,995. The lots include approved subdivision plans and partial underground conduit preparation. Water and electric utility connections are available nearby and may be arranged by the buyer. The property is situated just 3 km (5 minutes) from Toa Alta's town center, with quick access to schools, hospitals, banks, supermarkets, and pharmacies. Major routes such as PR-824, Highway PR-2 (10 km), and Expressway PR-22 (1820 km via Toa Baja and Vega Alta) with convenient regional connectivity. Only 10 km from La Plata Reservoir, the area is ideal for those who enjoy nature and recreation, with nearby restaurants like Gustitos Pancho, Cayo Caribe, Puttanesca Trattoria, and Sazn Cocina Criolla, and essential businesses like Ferretera David Rodrguez and Don Caste. The land is known for its fertile soil and agricultural surroundings. Custom home design services are available, and financing options may include land, design, and constructionsubject to lender approval.

Monthly Payment Calculator




© 2025 My Florida Regional MLS DBA Stellar MLS. All rights reserved. All listings displayed pursuant to IDX. All listing information is deemed reliable but not guaranteed and should be independently verified through personal inspection by appropriate professionals. Listings displayed on this website may be subject to prior sale or removal from sale; availability of any listing should always be independently verified. Listing information is provided for consumers personal, non-commercial use, solely to identify potential properties for potential purchase; all other use is strictly prohibited and may violate relevant federal and state law. Data last updated 2025-11-08T07:46:09.627.
www.claytonrealtyfl.com/homes/159517657
Print Image

Urb. Reparto León Bo. Quebrada Cruz TOA ALTA, PR 00953

  • Price: $29,995
  • Status: Active
  • On Site: 295 Days
  • Updated: 63 min ago
  • MLS #: PR9110992
0
Beds
0
Baths
0
½ Baths
0.21
Acres
Neighborhood:
Toa Alta
County:
Toa Alta
Area:
Toa Alta
Property Description
One or more photo(s) has been virtually staged. Located in Reparto Len, Barrio Quebrada Cruz, Toa Alta, Puerto Rico 00953, this listing features three legally subdivided residential lotsLot A (850 m), Lot B (850 m), and Lot D (857 m)each priced at $29,995. The lots include approved subdivision plans and partial underground conduit preparation. Water and electric utility connections are available nearby and may be arranged by the buyer. The property is situated just 3 km (5 minutes) from Toa Alta's town center, with quick access to schools, hospitals, banks, supermarkets, and pharmacies. Major routes such as PR-824, Highway PR-2 (10 km), and Expressway PR-22 (1820 km via Toa Baja and Vega Alta) with convenient regional connectivity. Only 10 km from La Plata Reservoir, the area is ideal for those who enjoy nature and recreation, with nearby restaurants like Gustitos Pancho, Cayo Caribe, Puttanesca Trattoria, and Sazn Cocina Criolla, and essential businesses like Ferretera David Rodrguez and Don Caste. The land is known for its fertile soil and agricultural surroundings. Custom home design services are available, and financing options may include land, design, and constructionsubject to lender approval.
Exterior Features

Lot Features Cul-De-Sac Lot Size Dimensions 9149 Road Frontage Type Access RoadCity Street Road Surface Type Asphalt Water Access Canal - FreshwaterRiver Water Access Yn Yes Water Extras Yn No Water View Yn No Waterfront Feet Total 0 Waterfront Yn No

Interior Features

Sewer Private SewerPublic Sewer Water Source Canal/Lake For IrrigationPublicWell Required

Property Features

Association Yn No Current Use Residential Flood Zone Code X For Lease Yn No Listing Terms AssumableCashConventionalSpecial FundingUSDA LoanVA Loan Ownership Fee Simple Realtor Info Docs AvailableEngineering Report Required Remarks One or more photo(s) has been virtually staged. Special Listing Conditions None Total Annual Fees 0 Total Monthly Fees 0 Utilities Cable AvailableElectrical NearbyElectricity AvailableSewer AvailableSewer NearbyStreet LightsWater AvailableWater Nearby Zoning RG


Listing information © 2025 My Florida Regional MLS DBA Stellar MLS..
Listing provided courtesy of BOCHECIAMP REAL ESTATE: 787-612-8428.



© 2025 My Florida Regional MLS DBA Stellar MLS. All rights reserved. All listings displayed pursuant to IDX. All listing information is deemed reliable but not guaranteed and should be independently verified through personal inspection by appropriate professionals. Listings displayed on this website may be subject to prior sale or removal from sale; availability of any listing should always be independently verified. Listing information is provided for consumers personal, non-commercial use, solely to identify potential properties for potential purchase; all other use is strictly prohibited and may violate relevant federal and state law. Data last updated 2025-11-08T07:46:09.627.
 
https://bt-photos.global.ssl.fastly.net/mfr/orig_boomver_1_PR9110992-2.jpg https://bt-photos.global.ssl.fastly.net/mfr/orig_boomver_1_PR9110992-2.jpg https://bt-photos.global.ssl.fastly.net/mfr/orig_boomver_1_PR9110992-2.jpg
Logo
Clayton Realty Group
264 Fuchsia St
Daytona Beach FL, 32124